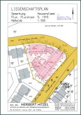
Liegenschaftsplan
Der Liegenschaftsplan (bekannt als "Lageplan zum Bauantag) besteht aus einem aktuellen Auszug aus der Liegenschaftskarte, der in der Regel nicht älter als zwei Jahre sein soll. Der Maßstab beträgt im Allgemeinen 1:500. Der Liegenschaftsplan muss außer dem Baugrundstück die benachbarten und die sonstigen für die öffentlich-rechtliche Beurteilung bedeutsamen umliegenden Grundstücke sowie die angrenzenden öffentlichen Verkehrsflächen enthalten. Der Liegenschaftsplan ist durch folgende Angaben zu ergänzen, soweit sie zur Beurteilung des Bauvorhabens notwendig sind:
a) Maßstabsgerechte Eintragung des Bauvorhabens mit Angabe der Außenmaße und der Vermaßung auf dem Grundstück,
b) Flurstücks- und Eigentümerverzeichnis für das Baugrundstück und die Nachbargrundstücke. Es enthält die Bezeichnung der Grundstücke im Grundbuch und Liegenschaftskataster
sowie Angaben zu weiteren Grundstückseigenschaften und den Eigentumsverhältnissen,
c) Ortsvergleich für das Baugrundstück und die Nachbargrundstücke. Gegenstand des Ortsvergleichs ist eine Überprüfung, ob im Auszug aus der Liegenschaftskarte alle relevanten baulichen Anlagen dargestellt sind. Fehlende Objekte werden vor Ort erfasst und in den Auszug aus der Liegenschaftskarte übernommen und
d) Angaben zur Höhenlage des Baugrundstücks im Verhältnis zu einem lokalen Bezugspunkt, soweit erforderlich zu dem amtlichen Höhenbezugssystem.
